Вторник, 30.12.2025
Магдебургский Полигон
Меню
Категории раздела
A-Platz [41]
Гарнизон [7]
B-Platz [3]
C-Platz [1]
D-Platz [2]
E-Platz [1]
F-Platz [1]
G-Platz [0]
H-Platz [20]
I-Platz [1]
Полигон [17]
Хиллерслебен север [2]
Хиллерслебен Юг [14]
Американский отчет [21]
Статистика
Яндекс.Метрика
Онлайн всего: 2
Гостей: 2
Пользователей: 0

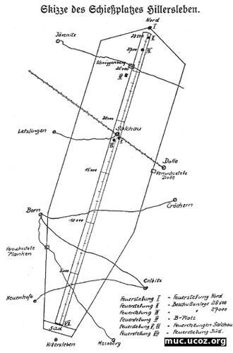
Огневые позиции

Огневые позиции на главном полигоне
Основной полигон расположен рядом с промышленной зоной. С этого момента пологая лесистая местность расчищена за 27 км.
Ширина очищаемой полосы составляет 700 метров, и она называется «Трасса обжига» или «Трасса обжига».
Весь очищенный диапазон имеет сеточную систему длиной 100 метров с маркером на каждом углу.
В реальном размере 350x531 / 32.2Kb
304 0 0.0

Добавлено 29.07.2019 ыфыф

Всего комментариев: 0
avatar
Вход на сайт
Поиск
Друзья сайта
Copyright MyCorp © 2025